|
|
|
| Coleoptera-Staphylinidae-Nazeris zhangi Y. Watanabe et Xiao |
| 2013-12-04
| 作者:
| 来源:
|【小 中 大】【打印】【关闭】 |
|
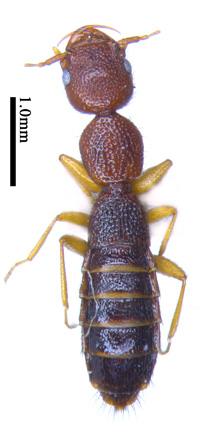
 Nazeris zhangi Y. Watanabe et Xiao, 1993 Remarks: This species is similar in general appearance to N. taiwanus Ito from Taiwan, but differs from the latter in the punctures on the pronotum, the narrower elytra and different configuration of genital organ in the male. Distribution: Yunnan. Reference: Yasuaki Watanabe, Ning-nian Xiao 1993, A new species of the Genus Nazeris (Coleoptera, Staphylinidae) from Yunnan Province, South China. Elytra, Tokyo, 21 (1): 129–133. |
|
|
 |
相关文章 |
|
|
|